Bekerakker 11 B
435 m2 bedrijfsruimte te huur in Eindhoven
Kenmerken
| Huurprijs | € 2.125 /maand |
| Functie | Bedrijfsruimte |
| Onderhoud buiten | Uitstekend |
| Onderhoud binnen | Uitstekend |
| Wijk / Buurt | Vlokhoven |
1 eenheid beschikbaar
1 eenheid beschikbaar
- Eenheid
- Oppervlakte
- Huurprijs
- Gebruik
| OPPERVLAKTE | 435 m2 |
| GEBRUIK | Bedrijfsruimte |
Omschrijving
Omschrijving
Locatie:
De bedrijfsunit is gelegen aan de rand van Winkelcentrum Woensel, het tweede winkelgebied van Eindhoven. De unit maakt deel uit van een blok van vijf geschakelde bedrijfsunits in een woonwijk nabij de John F. Kennedylaan.
Bereikbaarheid:
Stadsdeel Woensel te Eindhoven is gelegen aan de noordkant van Eindhoven en heeft directe aansluiting met de A2/N2 en A50. Via de toegangswegen Boschdijk en J.F. Kennedylaan is het centrum zéér goed bereikbaar. Het Catharina Ziekenhuis en Winkelcentrum Woensel XL zijn in dit stadsdeel gelegen. Diverse buslijnen waaronder de HOV-lijn zorgen voor een snelle verbinding met het centrum en het Centraal Station Eindhoven.
OBJECTGEGEVENS
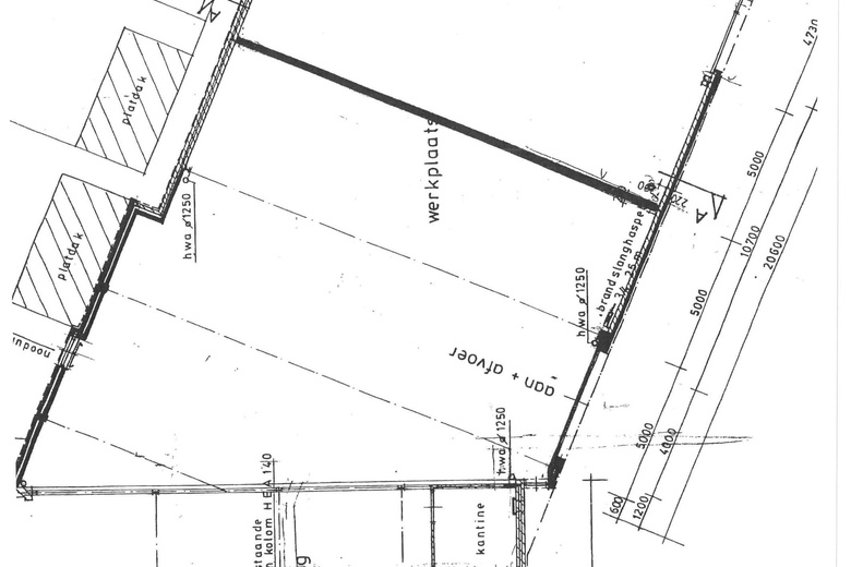
Beschikbare oppervlakte voor de verhuur:
Circa 435 m² totaal - onderverdeeld in:
Circa 355 m² bedrijfsruimte - begane grond
Circa 80 m² entresolvloer
Parkeergelegenheid:
Voldoende parkeerplaatsen beschikbaar, gelegen aan de voorzijde van de bedrijfsunit aan de Bekerakker 11B te Eindhoven, aanvullend openbare parkeerplaatsen gelegen in de directe omgeving.
Opleveringsniveau bedrijfsruimte:
• vrije hoogte van circa 5 meter
• maximaal toelaatbare vloerbelasting van circa 1.500 kg / m²
• 1 elektrisch bedienbare overheaddeur
• 1 loopdeur
• krachtstroomaansluiting aanwezig
• monolithisch afgewerkte betonvloer
• verlichting middels TL-opbouwarmaturen
• daglichttoetreding middels raampartijen en lichtstraten
• alarminstallatie (ter overname)
• brandblusvoorzieningen* (eenmalige terbeschikkingstelling)
• pantry*
• sanitaire voorzieningen
• verwarming middels vc ketel en radiatoren
Zaken aangegeven met "*" worden eenmalig en omniet door Verhuurder aan Huurder ter beschikking gesteld. Eventuele reparatie, onderhoud en-/of vervangen van deze zaken komt voor rekening en risico van Huurder.
Opleveringsniveau terrein:
• 100% bestraat met klinkers
Aanvaarding:
Per direct.
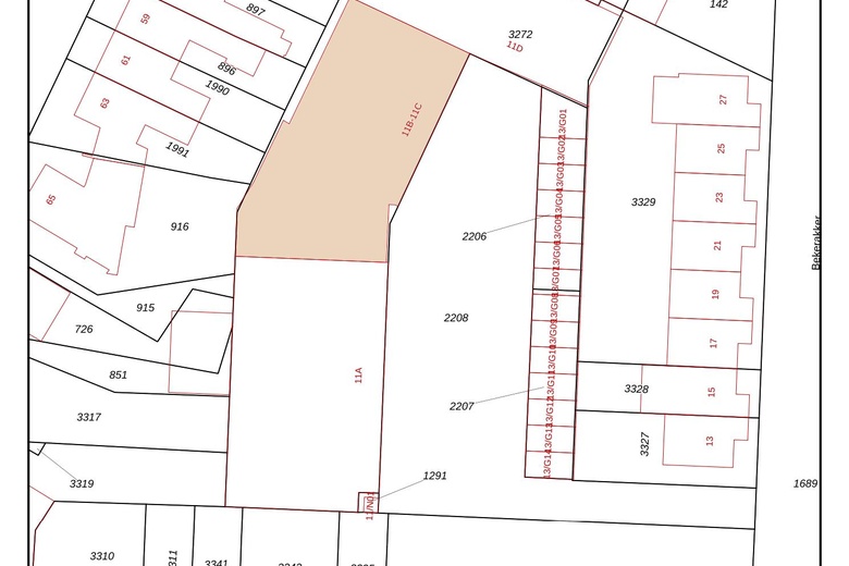
Kadastrale gegevens Bekerakker 11B te Eindhoven:
Gemeente: Woensel
Sectie: M
Perceelnummer: 3272
Oppervlakte: 355 m² (gedeeltelijk perceel)
Bestemmingsplan:
Het bestemmingsplan van dit bedrijfsgebouw aan de Bekerakker 11B te Eindhoven in stadsdeel Woensel is op te vragen via één van onze bedrijfsmakelaars bij Bossers & Fitters Bedrijfshuisvesting B.V. en/of via de website van het omgevingsloket.
Bouwjaar:
1984
HUURGEGEVENS
Aanvangshuurprijs:
€ 2.125 per maand te vermeerderen met de geldende B.T.W.
Voorschot servicekosten:
Op aanvraag.
Huurtermijn:
Drie (3) jaren.
Verlengingstermijn:
Telkens met drie (3) jaar.
Opzegtermijn:
Twaalf (12) maanden voorafgaand aan de expiratiedatum.
Huurindexering:
De huurprijs van dit bedrijfspand aan de Bekerakker 11B te Eindhoven zal jaarlijks worden geïndexeerd, voor het eerst één jaar na huuringangsdatum, op basis van het maandprijsindexcijfer volgens de consumentenprijsindex CPI-alle huishoudens (2015=100), dan wel meest recente tijdsbasis, gepubliceerd door het Centraal Bureau voor de statistiek (CBS).
Zekerheidsstelling:
Waarborgsom ter grootte van drie (3) maanden huur inclusief servicekosten en B.T.W.
Huurbetaling:
Per maand vooruit te voldoen.
B.T.W.:
Indien huurder niet aan het “90% criterium” (aandeel belaste prestaties) voldoet, zal er van rechtswege sprake zijn van omzetbelasting vrijgestelde verhuur. Als dan wordt de overeengekomen kale huurprijs, exclusief omzetbelasting, zodanig verhoogd, dat het voor verhuurder ontstane financiële nadeel wordt gecompenseerd.
Huurcontract:
R.O.Z.-model, huurovereenkomst kantoorruimte en andere bedrijfsruimte in de zin van artikel 7:230a BW met de benodigde aanvullingen.
Meer informatie:
Wenst u meer informatie over deze beschikbare bedrijfsruimte welke te huur is aan de Bekerakker 11B te Eindhoven, neem dan vrijblijvend contact op met één van de bedrijfsmakelaars bij Bossers & Fitters Bedrijfshuisvesting B.V.
Onze bedrijfsmakelaar de heer Gijs van Lotringen is van alle beschikbare informatie op de hoogte betreffende de verhuur van deze bedrijfsruimte in dit bedrijfspand aan de Bekerakker 11B te Eindhoven.
Bereikbaarheid
- Churchilllaan 4 min. lopen
- WoensXL/Rooseveltlaan 5 min. lopen
- Rooseveltlaan 8 min. lopen
- Sterrenlaan 9 min. lopen
- Generaal Hardenbergpad 10 min. lopen