Maxwellstraat 49 3.515 - 7.141 m2 bedrijfsruimte te huur in Ede
Kenmerken
| Huurprijs | Prijs op aanvraag |
| Functie | Bedrijfsruimte |
| Wijk / Buurt | Heestereng |
| Bedrijventerrein | Heestereng |
1 eenheid beschikbaar
1 eenheid beschikbaar
- Eenheid
- Oppervlakte
- Huurprijs
- Gebruik
Eenheid omschrijving
Op een absolute zichtlocatie aan de Maxwellstraat te Ede bieden wij volop mogelijkheden voor een ontwikkeling geheel op maat.
Of u nu op zoek bent naar kantoorruimte, bedrijfsruimte, opslag, showroom of een combinatie hiervan – alles is nog mogelijk binnen bestemmingsplan. Samen met u realiseren wij een pand dat volledig aansluit bij uw
bedrijfsvoering en wensen.
Kenmerken
- nieuw te bouwen bedrijfspand;
- absolute zichtlocatie in de oksel van de A12 naar de A30;
- zowel in zijn totaliteit als gesplitst beschikbaar;
- volledig ontwerp op maat mogelijk.
- representatieve uitstraling;
- energiezuinig;
- duurzaam.
Vloeroppervlakte
De kavel biedt volop mogelijkheden voor een bouwplan op maat. Samen met u realiseren wij een pand dat geheel aansluit aan uw wensen.
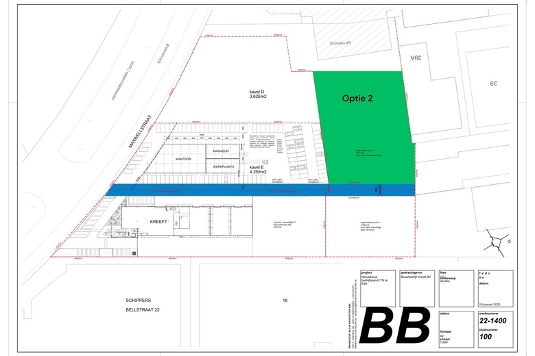
Het perceel is zowel in zijn totaliteit beschikbaar maar kan ook eenvoudig worden gesplitst waardoor de volgende 3 opties ontstaan:
Optie 1
Bebouwing op gehele kavel van 7.141 m².
Optie 2
Bouwen op een kavel ca. 3.515 m², met laad- en losmogelijkheid via de mandelige weg.
Optie 3
Bouwen op een kavel van ca. 3.626 m².
Bestemming
Conform het bestemmingsplan 'Galvanistraat e.o.' vastgesteld op 09 juni 2021 heeft het pand bestemming Bedrijf-1. Voor een nadere toelichting op het bestemmingsplan verwijzen wij u graag naar de website van
Omgevingsloket.
Huurprijs
Nader te bepalen afhankelijk van bouwwensen.
Huurtermijn
10 jaar met verlengingen van telkens 5 jaar.
Servicekosten
Niet van toepassing. Huurder dient rechtsstreek contracten af te sluiten bij de desbetreffende leveranciers.
Opzegtermijn
12 maanden.
Huurbetaling
De huur en BTW dienen bij vooruitbetaling per 3 maanden te worden voldaan.
Zekerheidstelling
Ter grootte van 3 maanden huur te vermeerderen met BTW in de vorm van een bankgarantie conform model ROZ of waarborgsom.
Huurindexatie
De huurprijs zal jaarlijks, voor het eerst een jaar na de ingangsdatum van de overeenkomst worden aangepast op basis van het consumentenprijsindexcijfer (CPI) reeks CPI- Alle huishoudens (basisjaar 2015 =
100) gepubliceerd door het Centraal Bureau voor de statistiek.
Huurovereenkomst
Op basis van het standaardmodel van de Raad voor Onroerende Zaken (ROZ), zoals gehanteerd door de Nederlandse Vereniging van Makelaars in onroerend goed (NVM), model kantoorruimte en andere bedrijfsruimte in de zin van artikel 7:230a BW, met bijbehorende Algemene Bepalingen gedeponeerd bij de griffie van de rechtbank te Den Haag op 30 januari 2015 en aldaar ingeschreven onder nummer 15/20.
Aanvaarding
Na gereed komen nieuwbouw.
Bijzonderheden
Eventuele huurtransacties dienen ter goedkeuring te worden voorgelegd aan opdrachtgever c.q. eigenaar van het gebouw. Tot deze goedkeuring verleend is, zijn alle uitgebrachte aanbiedingen geheel vrijblijvend.
Ligging
Gelegen op bedrijventerrein Frankeneng in Ede, op een prominente locatie met uitstekende bereikbaarheid. Uw bedrijf profiteert zo van een optimale zichtbaarheid.
Bereikbaarheid
Met de directe ligging aan de zowel de op- en afritten van de A30 als die van de A12 is het pand uitstekend bereikbaar.
Heeft dit object uw interesse gewekt? Dan nodigen wij u van harte uit het pand eens van binnen te komen bekijken!
| OPPERVLAKTE | Vanaf 3.515 m2 tot 7.141 m2 |
| GEBRUIK | Bedrijfsruimte |
Bereikbaarheid
- Darwinstraat 6 min. lopen
- Amperestraat 7 min. lopen
- Ampèrestraat 7 min. lopen