Penningweg 69 D 100 m2 bedrijfsruimte te huur in Zaandam
Kenmerken
| Huurprijs | € 1.599 /maand |
| Functie | Bedrijfsruimte |
| Onderhoud buiten | Goed |
| Onderhoud binnen | Goed |
| Wijk / Buurt | Westerspoor |
| Bedrijventerrein | Westerspoor-Zuid |
2 eenheden beschikbaar
2 eenheden beschikbaar
- Eenheid
- Oppervlakte
- Huurprijs
- Gebruik
- 2
- 100 m2
- Kantoorruimte
| OPPERVLAKTE | 100 m2 |
| GEBRUIK | Bedrijfsruimte |
| OPPERVLAKTE | 100 m2 |
| GEBRUIK | Kantoorruimte |
Omschrijving
Omschrijving
Twee geschakelde bedrijfsunits (nr. 69 C en 69 D) op een zicht locatie met een totale oppervlakte van ca. 200 m² BVO. Het object maakt onderdeel uit van een bedrijfsverzamelgebouw op het bedrijventerrein Westerspoor.
Indeling:
Begane grond: ca. 100 m2 BVO
Toegang middels overheaddeur en/of loopdeur, meterkast. Bedrijfsruimte met vaste houten trap naar de verdieping, toilet, pantry.
Eerste verdieping: ca. 100 m2 BVO
Kantoorruimte met pantry, systeemplafond met inbouwspots, toilet en bergingsruimte. Voldoende daglichttoetreding via de ramen op de verdieping.
Opleveringsniveau:
In huidige staat, 'as is'.
Bijzonderheden:
- Zichtlocatie
- Vraagprijs vrij van BTW
- Prominente ligging
- Multifunctioneel
- Goede bereikbaarheid
- Het betreft een 2-tal appartementsrechten
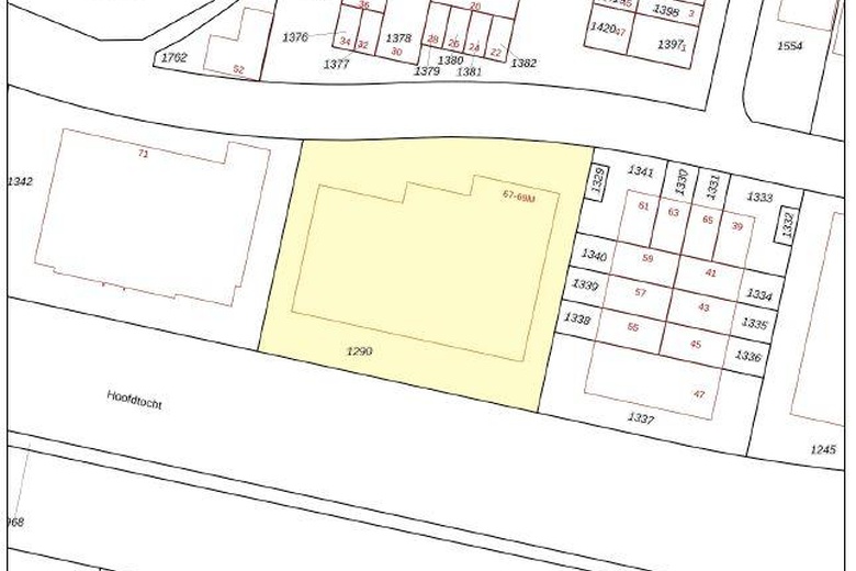
- Via de appartementsrechten is er een aandeel in het mandelige buitenterrein (Zaandam, sectie E, nummer 1290), met een gezamenlijk aandeel van 2/22e deel in de totale oppervlakte van circa 3.885 m². Dit terrein betreft de gezamenlijke ontsluitingsweg en overige gemeenschappelijke buitenruimte en wordt beheerd door de Vereniging van Eigenaars.
Vereniging van eigenaars:
Bijdrage aan de VvE bedraagt ca. € 700,- per jaar per unit.
NB De Vereniging van Eigenaars beschikt over een reservefonds van circa € 30.000,- ten behoeve van (onvoorziene) onderhoudsuitgaven.
Parkeren:
Voldoende parkeermogelijkheden op mandelig terrein en in de directe omgeving.
Bereikbaarheid:
Het complex is gesitueerd op het bedrijventerrein Westerspoor-Zuid, tussen de hoofdontsluitingsweg, de Hoofdtocht en de Penningweg.
Vraagprijs:
€ 269.999,- k.k. vrij van BTW
Kadaster:
Gemeente: Zaandam
Sectie: E
Perceelnummer: 1297
Appartementsindex: 1 + 22
Aanvaarding:
Per direct.
Bereikbaarheid
- Schellingweg 4 min. lopen
- Ducaatstraat 4 min. lopen
- Willem Hooftkade 7 min. lopen